By using this site, you agree to the Privacy Policy and Terms of Use.
Accept
Juang Sumatera Juang Sumatera Juang Sumatera
Notification Show More
Font ResizerAa
  • Home
  • Bisnis
  • Budaya
  • Olahraga
  • Riau
    • Bengkalis
    • Dumai
    • Inhil
    • Inhu
    • Kampar
    • Kuansing
    • Meranti
    • Pekanbaru
    • Pelalawan
    • Rohil
    • Rohul
  • Peristiwa
  • Politik
  • Lainnya
    • Opini
    • Wisata
Reading: 20 Orang Tewas di Haiti Karena Banjir Dipicu Badai Melissa
Share
Font ResizerAa
Juang Sumatera Juang Sumatera
  • Advetorial
  • Bisnis
  • Budaya
  • Digital
  • Industri
  • Infrastruktur
  • Keuangan
  • Listrik
Search
  • Home
  • Bisnis
  • Budaya
  • Olahraga
  • Riau
    • Bengkalis
    • Dumai
    • Inhil
    • Inhu
    • Kampar
    • Kuansing
    • Meranti
    • Pekanbaru
    • Pelalawan
    • Rohil
    • Rohul
  • Peristiwa
  • Politik
  • Lainnya
    • Opini
    • Wisata
Have an existing account? Sign In
Follow US
Nasional

20 Orang Tewas di Haiti Karena Banjir Dipicu Badai Melissa

By Redaksi Published 30 Oktober 2025
Share
1 Min Read
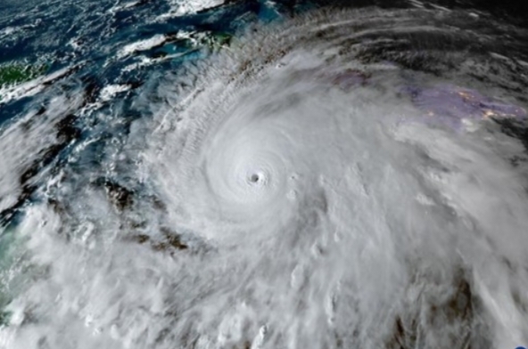
Badai Melissa terjang Haiti
SHARE

JAKARTA, Juangsumatera.com – Banjir di Haiti yang dipicu oleh Badai Melissa telah menewaskan sedikitnya 20 orang dan 10 lainnya hilang. Petugas tanggap darurat sedang melakukan pencarian korban hilang.

Dilansir AFP, Kamis (30/10/2025) dan dikutip dari detiknews, sepuluh anak termasuk di antara korban tewas akibat banjir sungai di wilayah selatan negara itu, kata Emmanuel Pierre, yang mengepalai badan pertahanan sipil negara itu.

Banjir Sungai Digue menghancurkan beberapa rumah di kota pesisir Petit-Goave, lapor beberapa warga. “Banyak orang tewas, rumah-rumah tersapu air,” ujar warga Steeve Louissaint.

Dalam video yang tidak diverifikasi, warga terlihat mencari orang-orang yang mereka cintai. Seorang ayah terekam menangis saat mengeluarkan jasad putrinya yang tak bernyawa dari bawah tumpukan puing.

Badai Melissa, badai terkuat yang melanda daratan dalam 90 tahun, juga menghantam Jamaika dan Kuba, menyebabkan kerusakan yang cukup parah, menurut Presiden Kuba.

Badai tersebut yang telah diturunkan statusnya menjadi kategori 2, telah memicu peringatan badai di beberapa wilayah Bahama dan Bermuda. (rfs/rfs/red)

Redaksi 30 Oktober 2025 30 Oktober 2025
Share This Article
Facebook Twitter Whatsapp Whatsapp Telegram Email Print
Berikan Ulasan Anda untuk Berita ini
Love0
Sad0
Happy0
Sleepy0
Angry0
Previous Article KPK Persilakan Warga Tetap Pakai Whoosh Disaat Pengusutan Perkara
Next Article Penggerebekan Polisi Tewaskan 132 Orang di Brasil
Leave a comment Leave a comment

Tinggalkan Balasan Batalkan balasan

Alamat email Anda tidak akan dipublikasikan. Ruas yang wajib ditandai *

Berita Terkait

Nasional

Raksasa Migas Italia Temukan Gas Jumbo di Indonesia

20 April 2026
Nasional

Andre Rosiade Bantu Pengobatan Lansia di Padang

20 April 2026
Nasional

Israel Perintahkan Serangan Penuh di Lebanon Meski Gencatan Senjata Berlaku

20 April 2026
Nasional

Malaysia Gabung Dalam Barisan Negara Pemburu Minyak Rusia

20 April 2026
Show More

JUANG SUMATERA

  • Tentang Kami
  • Disclaimer
  • Redaksi
  • Pedoman Media Siber
  • Info Iklan

Sekilas

Menyajikan berita, informasi, data, dan hasil riset secara mendalam bagi kepentingan para pemimpin bisnis dan pengambil kebijakan, namun dikemas secara lugas dan atraktif agar mudah dipahami publik.
Kategori Lainnya
  • Riau
  • Infrastruktur
  • Digital
  • Keuangan
 
  • Bisnis
  • Industri
  • Listrik
  • Pertambangan

Langganan Newsletter

Subscribe to our newsletter to get our newest articles instantly!

[mc4wp_form]
© juangsumatera.com - All Right Reserved
Welcome Back!

Masuk ke akun Anda

Lost your password?